
Triunfan en los Grammy Latino Draco Rosa, Carlos Vives y Marc Anthony
Debido a la lluvia la 14a entrega de los Premios Grammy Latino careció de alfombra roja
05 MAR 2026, Actualizado 08:12

Debido a la lluvia la 14a entrega de los Premios Grammy Latino careció de alfombra roja

Jesús Murillo Karam indicó que también tienen conocimiento de cómo obtuvieron la aeronave

Crea confusión por supuesto encuentro con el presidente Enrique Peña Nieto y su familia

El lunes, la justicia rusa liberó bajo fianza a tres de los 30 tripulantes del barco de Greenpeace detenidos en septiembre pasado en el Ártico

Las compañías aceptaron no despedir a ningún trabajador y éstos a cambio aceptaron Expedientes de Regulación de Empleo Temporales

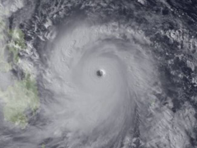
La ONU anunció que el tifón causó al menos 4.460 muertos, un balance que fue inmediatamente cuestionado por las autoridades filipinas

Las fotografías que circularon en Facebook y Twitter, y que provocaron una lluvia de reacciones de indignación, aparecen también dos mujeres sonriendo junto a otros dos hombres con el cadáver del jaguar

Se han confirmado 26 casos de cáncer de la tiroides y 32 probables en menores de edad

Los tres astronautas llegaron a Kazajistán, en una cápsula Soyuz suspendida de un gran paracaídas blanco para amortiguar el aterrizaje

Los alemanes tampoco confían en el presidente estadounidense Barack Obama

La fuerza del viento convierte a Haiyan, de categoría 5, la más alta, en uno de los ciclones más fuertes registrados en el mundo y en el más potente en tocar tierra de la Historia

La antorcha regresará a la Tierra a bordo de la cápsula Soyuz el 11 de noviembre

La misión es de bajo presupuesto

Después de cuatro meses de haber sido retirado de su cargo Mohamed Mursi será juzgado

La aeronave se accidentó al momento de aterrizar en el aeropuerto doméstico de Riberalta, en la Amazonia boliviana

La polémica de espionaje por parte del gobierno de Estados Unidos ya alcanzó este viernes a Asia

El escándalo de los préstamos a los yakuzas estalló a finales de septiembre

Desplaza al presidente de Estados Unidos Barack Obama

El gobierno de Berlín espera concluir a medio plazo un acuerdo con Estados Unidos

Ésta cantidad también fue parte del pago a los intermediarios para la liberación

El embajador de Estados Unidos fue convocado este lunes a la cancillería española

Estados Unidos, había requerido al gobierno noruego acoger parte del arsenal químico sirio para destruirlo en su país

Los mandatarios de ambos países, que se reunieron al margen de una cumbre de dos días de la Unión Europea (UE) en Bruselas

Colapsa la parte lateral de la planta maquiladora Confecciones Sunrise, dedicada a fabricar dulces. Se reportan más de 40 heridos

El dispositivo puede ser utilizado en casa
Página7
Compartir
Más acciones
Suscríbete
Tu contenido empezará después de la publicidad